В Тихом океане запустили устройство для сбора пластикового мусора Плавающее устройство должно выловить 1,8 триллиона единиц отходов такого рода, не помешав подводной жизни 23 Июн., 2019, 14:26 В мире Экология мусор
Ученые обнаружили на дне Марианской впадины пластиковый мусор Специалисты отмечают, что загрязнение океана пластиком значительно выросло за последние годы 14 Май, 2019, 22:10 Наука наука Экология
Федор Конюхов первым переплыл южную часть Тихого океана на весельной лодке На это у российского путешественника ушло 154 дня 10 Май, 2019, 15:10 В мире океан
Французский путешественник пересек Атлантический океан в бочке 72-летний Жан-Жак Савен уже объявил, что в будущем планирует пересечь вплавь пролив Ла-Манш 28 Апр., 2019, 19:12 В мире Франция океан
Уровень Мирового океана растёт быстрее, чем считалось Ежегодно ледники в результате таяния теряют около 335 млрд т ежегодно 09 Апр., 2019, 22:04 Наука наука океан
Найден ген белой акулы, позволяющий ей бороться с раком и старением 20 Фев., 2019, 10:30 Наука наука океан
Объявлены лучшие подводные фото 2018 года Победителем стал фотограф из Великобритании Дункан Мюррел. Он получит главный приз – $80 тыс. 27 Янв., 2019, 22:01 В мире океан
Учёные: Океаны нагреваются быстрее, чем считалось ранее К такому выводу пришли исследователи Калифорнийского университета в Беркли 11 Янв., 2019, 22:03 Наука наука океан
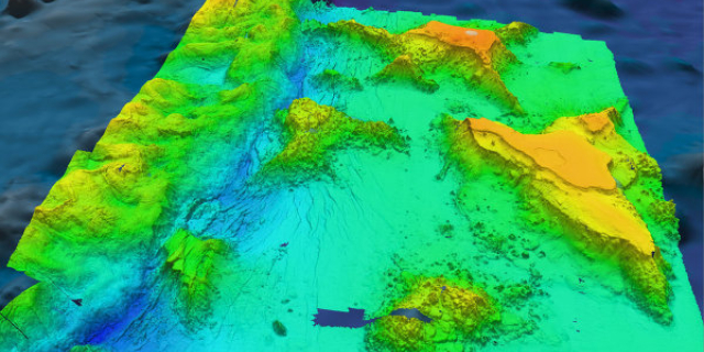
Ученые раскрыли геологические секреты дна Марианской впадины Их исследования были опубликованы в журнале Nature 15 Ноя., 2018, 22:16 Наука наука океан
Француз попытается вплавь пересечь Тихий океан Ему предстоит преодолеть расстояние около 8800 километров до Сан-Франциско 05 Июн., 2018, 18:56 В мире океан плавание
За последние 20 лет Микронезия потеряла восемь островов Австралийские учёные выяснили, что все они скрылись под океанскими волнами 07 Сен., 2017, 22:01 Наука океан остров
В Японии успешно испытали установку для выработки энергии за счёт течений в океане Специалисты рассчитывают начать коммерческие поставки новых устройств к 2020 году 20 Авг., 2017, 12:12 В мире Япония Технологии
В России построят уникальное судно для исследования Северного Ледовитого океана Пока готов только эскизный проект такого корабля 11 Авг., 2017, 19:04 Наука Россия Исследования
В Бермудском треугольнике появился новый остров Шелли-Айленд, сформировавшийся всего за несколько месяцев, является опасным для людей из-за сильных течений 09 Июл., 2017, 18:14 Наука остров океан
Небольшой необитаемый остров в Тихом океане стал самым загрязненным местом на планете Общая масса мусора, по оценкам специалистов, составляет 17,6 тонны 16 Май, 2017, 14:22 В мире мусор остров
Плавучий барьер для сбора мусора в Тихом океане установят в 2018 году Очистные установки будут в автоматическом режиме дрейфовать к местам, где проходит наибольшее количество мусора 13 Май, 2017, 10:45 В мире океан мусор
В Мировом океане отмечено резкое снижение уровня кислорода Причина сокращения кислорода в воде – глобальное потепление 16 Фев., 2017, 22:01 Наука наука океан
«Мёртвая зона» площадью 60 тысяч кв. км обнаружена в Индийском океане В этих водах практически отсутствует кислород, но очень много азота, микроорганизмов для переработки которого здесь также нет 06 Дек., 2016, 22:02 Наука наука океан
Канада выделит $1,5 млрд на защиту океанов Деньги, в частности, будут направлены на восстановление и защиту морских экосистем, а также на разработку методов очистки поверхности воды от нефтяных пятен 12 Ноя., 2016, 15:16 В мире Канада океан
131 год назад родился российский океанолог Николай Зубов Детство знаменитого исследователя Арктики прошло в Тирасполе 28 Май, 2016, 08:00 Спецпроекты История океан